7R-3457 Cladire de vanzare S P 1 ( spatiu comercial la parter si apartament la etaj ) cu posibilitate de extindere la P 4, pana la maxim 500 mp conform PUZ.
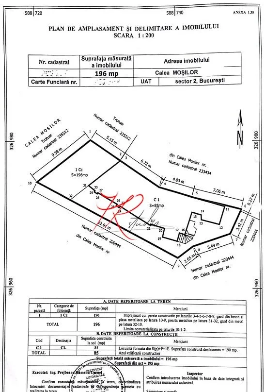
Vila este in zona Mosilor - Bucuresti, reper Intersectie Mosilor - Carol I, avand 4 camere, 3 dormitoare, 2 bai, 1 bucatarii, suprafata totala construita 138 mp, suprafata utila 138 mp si suprafata teren 196 mp. Deschiderea este de 10 ml. Imobilul are amprenta 85 mp, casa este din 1930 dar este consolidata total in anul 2000
In fata locatiei sunt 3 locuri de parcare stradale pe teren proprietate.
Parterul are intrare stradala si doua intrari auxiliare ( una din curte si una prin casa scarii ), iar la etaj intrarea este separata ( una prin curte si una prin parter, cu acces pe casa scarii ).
Cladirea este ideala pentru studiouri / camere de inchiriat in regim hotelier ( Airbnb si Booking ) birouri, after school, clinica, productie, atelier, farmacie, brutarie, vulcanizare, showroom, etc.
ID intern: 7R-2783.
⚠ AtenÈ›ie !
Nu plăti niciodată în avans până când nu l-ai întâlnit pe vânzător și ați semnat un acord.
Nu furniza informații confidențiale în discuții pe alte aplicații de mesagerie unde utilizatorii își ascund ușor identitatea.
Nu furniza niciodată detaliile contului sau cardului tău bancar.
Când comanzi online, alege livrarea cu verificare. Pentru un cost relativ mic, te protejezi de eventuale neplăceri.
Comision cumparator 2 tva ASCENDENT IMOBILIARE va propune spre vanzare o EXCLUSIVITATE materializata printr-o proprietate asezata intr-un cartier rezidential de vile la doar 5 km distanta de centrul Brasovului denumit Bunloc Va invitam sa experimentati o vizionare initiala din locatia unde va aflati chiar acum prin accesarea turului virtual/ si a filmului de prezentare Tur virtual tridimensional https //my matterport com/show/ m vHLrmXCBtTM Film prezentare https //www youtube com/watch v YAmsB-ZCvt0 Intr-o pozitie apreciata si pe segmentul turistic devenita foarte populara pentru amatorii de parapanta si paragliding la baza partiei de ski intr o zona plina de verdeata inconjurata de pomi si dealuri verzi inconjurat de vile impresionante prin unicitatea fiecareia regasim aceasta grandioasa resedinta primitoare inca de la intrare Este o proprietate structurata pe trei nivele respectiv parter etaj si mansarda cu loc de terasa si o curte gen...
Doresti sa te muti intr-o zona mai linistita si retrasa TABOO Imobiliare iti propune aceasta casa de vanzare cu 5 camere in zona Selimbar Sibiu Casa de vanzare din Sibiu este o casa de tip triplex cu un regim de inaltime Parter 1 etaje/mansarda Casa este compartimentata astfel Parter hol living baie bucatarie Etaj/Mansarda hol 3 dormitoare baie Pod depozitare Casa a fost construita in anul 2017 cu o structura din caramida si sistem de incalzire cu centrala proprie calorifere Suprafata construita a casei este de 192 mp suprafata utila 160 mp iar terenul are o suprafata totala de 184 mp Casa este mobilata complet si utilata plita cuptor hota aragaz masina de spalat rufe masina de spalat vase frigider cu congelator cuptor cu microunde espressor de cafea Casa are o curte libera 120 mp cu 1 loc de parcare garaj si suficient loc pentru zona de joaca a copiilor Finisajele interioare sunt clasice Usa intrare metal Usi interioare lemn ...
Vila spatioasa in Tunari - 334 mp utili, teren 515 mpSituata pe str. George Cosbuc nr. 4, vila moderna construita in 2014 ofera un mix ideal de confort si versatilitate. Dispune de living generos cu semineu, bucatarie in 2 zone, 7 dormitoare si 5 bai moderne. Compartimentarea practica permite nu doar un camin elegant pentru familii, ci si desfasurarea de activitati antreprenoriale - birouri, gradinita, afterschool sau pensiune. Curtea de 515 mp permite amenajari variate: gradina, terasa, loc de joaca. Locatie linistita, cu acces rapid la Bucuresti. O oportunitate rara! Programeaza acum o vizionare! Detalii garaj: Nu Are, In Strada Detalii compartimentare spatiu: Suprafata Nivel Principal: 128.28mp Reper: Tunari - Tunari
Casa renovata complet cu teren generos de 2 329 mp livada matura gradina solar si garaj -- situata in comuna Lipnita judetul Constanta Proprietate ideala pentru cei care cauta liniste natura spatiu aer curat si un stil de viata autentic la tara dar cu toate utilitatile moderne La doar 100 km de Constanta si 20 km de granita cu Bulgaria intr-o zona pitoreasca inconjurata de dealuri paduri livezi si apropiere de Dunare Detalii proprietate Teren total 2 329 mp 100 intravilan Deschidere 28 m Suprafata casa 114 mp utili Compartimentare optima pentru familie 4 dormitoare unul cu intrare separata - ideal oaspeti birou sau copil adolescent Living spatios Bucatarie mare Baie Camara/Depozitare Hol luminat Terasa generoasa Beci racoros util depozitare legume/fructe/conserve Constructie casa traditionala renovata modern Stare foarte bine intretinuta locuibila imediat Se vinde complet mobilata mobilier electrocasnice incluse Incalzire co...
Blitz va propune spre vanzare o casa tip insiruit - zona centrala - mutare imediata Casa tip insiruit de vanzare zona centrala ideala pentru familie sau investitie 5 camere 3 bai teren 200 mp complet mobilata si utilata gata de mutare fara costuri suplimentare Acces rapid catre toate punctele de interes Oportunitate rara in aceasta zona Cod oferta / ID BLITZ P161298 Id intern P161298
Alba - 29 Ianuarie 2026
199.000 €
Atenție
Din motive de securitate și pentru protecția utilizatorilor, această funcționalitate nu este disponibilă pentru locația ta.